Descubriendo las calles de la fantasmal ciudad sumergida de Dunwich
14/8/13 .- http://noticiasdelaciencia.com
Se ha completado el análisis más detallado hasta la fecha de los restos arqueológicos de la ciudad medieval de Dunwich (adyacente al pueblo del mismo nombre que, según el censo gubernamental británico de 2001, posee 84 habitantes), apodada a menudo "la Atlántida británica". La visibilidad bajo el agua en la antigua Dunwich es muy pobre debido al mucho barro que allí flota, lo que ha limitado de forma notable la exploración arqueológica del sitio. Esto mereció que se le dieran por doble partida a las ruinas el apelativo de "ciudad perdida", por la dificultad de divisarla además de por su inhabitabilidad.
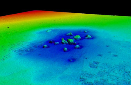
Ahora, usando avanzadas técnicas de captación de imágenes subacuáticas, el equipo del profesor David Sear, de la Universidad de Southampton en el Reino Unido, ha producido el mapa más detallado hasta la fecha de las calles de la ciudad perdida, sus límites y sus principales edificios, revelando incluso ruinas sumergidas de las que no se tenía conocimiento.
La antigua ciudad comienza ahora por fin a tener bien localizadas todas sus calles y edificios.
El actual pueblo habitado de Dunwich tuvo en el pasado una extensa área urbana adicional, dominada por un puerto, y que actualmente está bajo el mar, constituyendo la referida ciudad perdida. Esa fantasmal ciudad medieval tragada por el mar fue en sus días de esplendor una urbe tan grande como Londres en el siglo XIV, pero desde que fue engullida por las aguas es un entorno lúgubre, ideal como escenario de un relato de H.P. Lovecraft.
El destino nefasto de la antigua ciudad de Dunwich se forjó cuando diversas tormentas extremas erosionaron la costa, y las inundaciones crecientes acabaron haciendo inhabitable esta urbe antaño próspera.
Este proceso fatídico comenzó en 1286 cuando una colosal tormenta arrasó buena parte de la ciudad. Esta tormenta fue seguida por otras que llenaron de cieno el puerto y fueron carcomiendo la vida económica de la ciudad. Sus habitantes abandonaron paulatinamente la vieja ciudad, y ésta dejó de servir como puerto. Ahora yace a una profundidad de entre 3 y 10 metros bajo de la superficie del mar, justo frente a la actual orilla.
Se considera que la ciudad vieja de Dunwich es la ciudad medieval sumergida más grande del mundo. Pero no fue hasta 2008 cuando comenzó la exploración que muchos consideran como la más provechosa. Seis conjuntos adicionales de ruinas sobre el lecho marino y 74 potenciales yacimientos arqueológicos han sido encontrados desde entonces.
Combinando todos los datos arqueológicos conocidos del conjunto de ruinas, junto con manuales de navegación costera y mapas antiguos, se ha conseguido producir el que por ahora es el mapa más preciso y detallado disponible de la distribución de las calles y la posición de los edificios, incluyendo las ocho iglesias de la ciudad. Los principales hallazgos son:
- La identificación de los límites de la ciudad, los cuales revelan que fue un importante centro urbano que abarcó aproximadamente 1,8 kilómetros cuadrados.
- La confirmación de que la ciudad poseía un área central fortificada.
- La documentación de diez edificios de la Dunwich medieval, dentro de esta área fortificada, incluyendo la localización de los puntos donde en su día se alzaban un monasterio y varias iglesias, y la identificación de sus probables ruinas actuales.
- Más evidencia que sugiere que la zona norte de la ciudad era principalmente comercial, con estructuras de madera asociadas con el puerto.
Más información en el siguiente Enlace
Ahora, usando avanzadas técnicas de captación de imágenes subacuáticas, el equipo del profesor David Sear, de la Universidad de Southampton en el Reino Unido, ha producido el mapa más detallado hasta la fecha de las calles de la ciudad perdida, sus límites y sus principales edificios, revelando incluso ruinas sumergidas de las que no se tenía conocimiento.
La antigua ciudad comienza ahora por fin a tener bien localizadas todas sus calles y edificios.
El actual pueblo habitado de Dunwich tuvo en el pasado una extensa área urbana adicional, dominada por un puerto, y que actualmente está bajo el mar, constituyendo la referida ciudad perdida. Esa fantasmal ciudad medieval tragada por el mar fue en sus días de esplendor una urbe tan grande como Londres en el siglo XIV, pero desde que fue engullida por las aguas es un entorno lúgubre, ideal como escenario de un relato de H.P. Lovecraft.
El destino nefasto de la antigua ciudad de Dunwich se forjó cuando diversas tormentas extremas erosionaron la costa, y las inundaciones crecientes acabaron haciendo inhabitable esta urbe antaño próspera.
Este proceso fatídico comenzó en 1286 cuando una colosal tormenta arrasó buena parte de la ciudad. Esta tormenta fue seguida por otras que llenaron de cieno el puerto y fueron carcomiendo la vida económica de la ciudad. Sus habitantes abandonaron paulatinamente la vieja ciudad, y ésta dejó de servir como puerto. Ahora yace a una profundidad de entre 3 y 10 metros bajo de la superficie del mar, justo frente a la actual orilla.
Se considera que la ciudad vieja de Dunwich es la ciudad medieval sumergida más grande del mundo. Pero no fue hasta 2008 cuando comenzó la exploración que muchos consideran como la más provechosa. Seis conjuntos adicionales de ruinas sobre el lecho marino y 74 potenciales yacimientos arqueológicos han sido encontrados desde entonces.
Combinando todos los datos arqueológicos conocidos del conjunto de ruinas, junto con manuales de navegación costera y mapas antiguos, se ha conseguido producir el que por ahora es el mapa más preciso y detallado disponible de la distribución de las calles y la posición de los edificios, incluyendo las ocho iglesias de la ciudad. Los principales hallazgos son:
- La identificación de los límites de la ciudad, los cuales revelan que fue un importante centro urbano que abarcó aproximadamente 1,8 kilómetros cuadrados.
- La confirmación de que la ciudad poseía un área central fortificada.
- La documentación de diez edificios de la Dunwich medieval, dentro de esta área fortificada, incluyendo la localización de los puntos donde en su día se alzaban un monasterio y varias iglesias, y la identificación de sus probables ruinas actuales.
- Más evidencia que sugiere que la zona norte de la ciudad era principalmente comercial, con estructuras de madera asociadas con el puerto.
Más información en el siguiente Enlace
Noticias relacionadas
- Lost medieval town of Dunwich revealed (England). Noticia y video
- Descubren una de las calles más antiguas de Moscú, que data del siglo XII
- La historia desconocida de Álava bajo las calles de Alegría
- Descubriendo la torre de Atxorrotx (Guipúzcoa)
- Descubriendo riquezas arqueológicas (Córdoba)
Comenta la noticia desde Facebook
Comentarios
No hay comentarios.
Para escribir un comentario es necesario entrar (si ya es usuario registrado) o registrarse

